Theo dõi Báo Tây Ninh trên
Siêu bão Yutu đổ bộ vào Quần đảo Bắc Mariana ở Tây Thái Bình Dương vào tối 24-10 (giờ địa phương), gây thiệt hại nặng nề.

Dựa vào dữ liệu vệ tinh, các nhà khí tượng học nhận định siêu bão Yutu là một trong những cơn bão nhiệt đới mạnh nhất từng được quan sát, ngang ngửa siêu bão Haiyan xảy ra vào năm 2013, khiến hàng ngàn người Philippines thiệt mạng.
Tính đến thời điểm hiện tại của năm 2018, Yutu là siêu bão mạnh nhất với sức gió đạt mức ổn định 290 km/giờ, tăng thêm 210 km/giờ chỉ trong vòng 48 giờ. Đáng chú ý hơn, nó biến từ bão cấp 1 lên thành bão cấp 5 chỉ trong vòng 24 giờ. Yutu sẽ duy trì sức mạnh của một cơn bão cấp 4 hoặc 5 trong vài ngày.
Đây là siêu bão mạnh nhất từng tấn công Quần đảo Bắc Mariana và thậm chí có thể là siêu bão mạnh nhất tấn công Mỹ và lãnh thổ của quốc gia này.

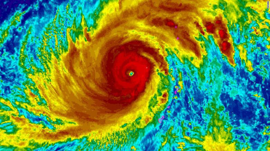
Yutu biến từ bão cấp 1 lên thành bão cấp 5 chỉ trong vòng 24 giờ. Ảnh: CNN
Siêu bão Yutu đổ bộ Quần đảo Bắc Mariana vào thời điểm nó có sức hủy diệt khủng khiếp nhất. Theo CNN đưa tin ngày 25-10, siêu bão Yutu đã phá hủy nhà cửa, gây mất điện diện rộng và cắt đứt nguồn nước của hàng nghìn cư dân Quần đảo Bắc Mariana. Hiện chưa có thông tin chi tiết về thương vong.
Được biết, 2 khu vực bị ảnh hưởng nghiêm trọng nhất là đảo Saipan và đảo Tinian.
Sau khi cơn bão đi qua vào khoảng 9 giờ (giờ địa phương) ngày 25-10, nhiều khu vực trên đảo Tinian, nơi sinh sống của khoảng 3.500 người, vẫn chưa tiếp cận được và giới chức vẫn chưa thể hoàn tất quá trình đánh giá thiệt hại ban đầu. Máy móc hạng nặng đã được triển khai đến đảo Tinian để dọn dẹp các đống đổ nát trên đường sá nhằm tạo điều kiện cho lực lượng cứu hộ hoạt động.

Đảo Tinian là một trong những khu vực bị ảnh hưởng nghiêm trọng nhất. Ảnh: CNN
Với đảo Saipan, ông Gregorio Kilili Camacho Sablan - một quan chức địa phương - khẳng định với hãng thông tấn AP rằng ông đã nghe được thông tin về người bị thương và nhiều nạn nhân đã được đưa đến bệnh viện địa phương chữa trị. Tuy nhiên, ông Sablan không cung cấp thông tin chi tiết và cũng không ước tính thương vong.
Theo Axios đưa tin, siêu bão Yutu cũng gây tác động lên đảo Guam – nơi Mỹ hiện diện quân sự, trong đó có Căn cứ Không quân Anderson.
Siêu bão Yutu được dự đoán là duy trì sức mạnh hiện tại của nó trong 24 giờ tiếp theo trước khi từ từ suy yếu. Mặc dù vậy, nó vẫn là một siêu bão nhiệt đới đáng sợ trong lúc di chuyển đến Philippines và Đài Loan.
Hiện tại, theo CNN, siêu bão Yutu đang ở phía Tây của Quần đảo Mariana, di chuyển qua biển Philippines với vận tốc 20 km/giờ.

Siêu bão Yutu đang hướng về châu Á. Ảnh: Hong Kong Observatory
Nguồn Người Lao Động